Jak nie przestraszyć szczeniaka klatką i zachęcić go do przebywania w niej.
Absolutny MUST READ dla osób zainteresowanych nabyciem Hiszpanka.
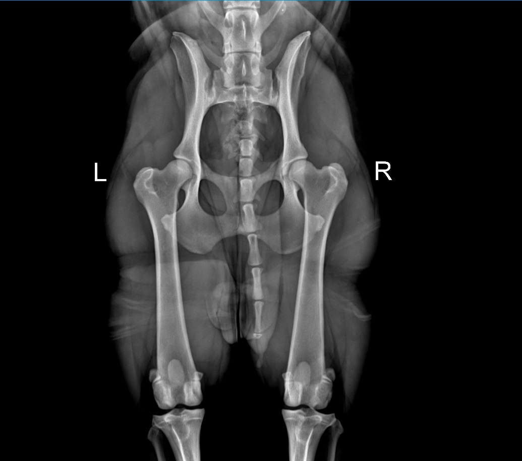
Artykuł skupiający się na problemie dysplazji u psów.
Ciąża u suni to najbardziej fascynujący okres dla hodowcy!